Gymnasium Ohmoor Multimedia-Projekt "Naturschutz für das Ohmoor" C.-J. Bautsch 07/2000
| Start | Lage / Relief. | Luftbild / Medien | Klima | Vegetation | Hydrologie | Boden | Geologie | Ergebnis |
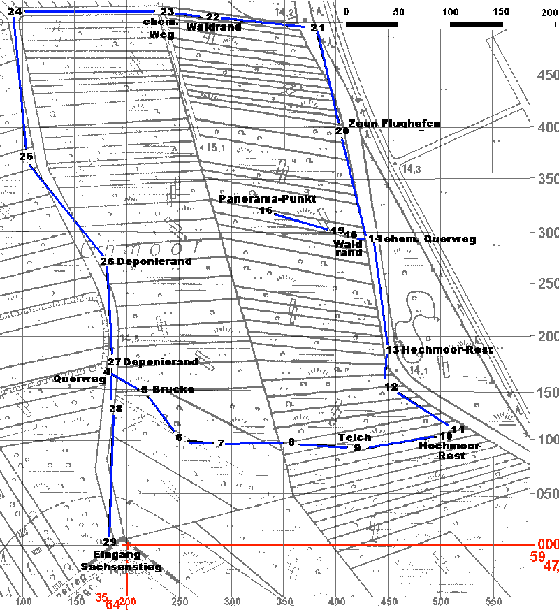
Orientierung im Gelände mit GPS Mit Hilfe eines einfachen GPS-Gerätes (Global Postitioning System) wurde im Gelände ein Weg aufgezeichnet. 29 mal blieben wir kurz stehen um die aktuelle Position zu speichern. Mit den Gauss-Krüger-Koordinaten einer Topographischen Karte 1:5000 konnten wir dann den Eingang, unseren Wegverlauf und den Panoramapunkt lokalisieren. Eine Genauigkeit von etwa 5 Metern zeigt eine brauchbare Übereinstimmung mit den Angaben der Karte. |
![]() |
Es folgen die im Gelände aufgenommenen GPS-Daten:
| Ort: | Rechts-Wert |
Hoch-Wert |
|
Punkt # |
35 64 | 59 47 | |
Querweg |
4 |
140 |
176 |
Brücke |
5 |
174 |
157 |
Waldrand |
6 |
222 |
113 |
7 |
252 |
107 |
|
8 |
320 |
109 |
|
Teich |
9 |
381 |
99 |
Torfrest |
10 |
470 |
116 |
Weg |
11 |
483 |
128 |
Wegbiegung |
12 |
424 |
162 |
Torfrest |
13 |
426 |
196 |
ehem. Querweg |
14 |
397 |
301 |
Waldrand |
15 |
373 |
311 |
Panorama |
16 |
296 |
332 |
= Punkt14 |
19 |
361 |
310 |
Flugh-Zaun |
20 |
368 |
404 |
Westabzwg. |
21 |
344 |
507 |
Waldrand |
22 |
241 |
527 |
ehem. Weg |
23 |
200 |
535 |
Nordverzw. |
24 |
56 |
530 |
Kurve |
25 |
68 |
379 |
Deponierand |
26 |
145 |
278 |
Deponierand |
27 |
150 |
180 |
28 |
148 |
131 |
|
Eing.Sachsw. |
29 |
145 |
18 |